बायर फार्मराईज अॅप इंस्टॉल करा
तज्ज्ञ शेती सल्ल्यासाठी!


परवळ ज्याला स्थानिक पातळीवर परवल , पातल म्हणतात, याची लागवड प्रामुख्याने भारताच्या पूर्व व उत्तर भागात होते. पश्चिम बंगाल देशातील एकूण उत्पादनापैकी 50–53% उत्पादन करते. त्यानंतर बिहार आणि उत्तर प्रदेशचा क्रमांक लागतो. इतर महत्त्वपूर्ण उत्पादक राज्यांमध्ये आसाम, ओडिशा, छत्तीसगड, मध्य प्रदेश, महाराष्ट्र आणि गुजरात यांचा समावेश आहे.

परवळ ही कमी कॅलरीजची, पोषक तत्वांनी समृद्ध भाजी आहे जी जीवनसत्त्वे अ, क, अँटिऑक्सिडंट्स आणि फायबरने भरलेली असते, जी पचन सुधारण्यास, रोगप्रतिकारक शक्ती वाढविण्यास आणि वजन व्यवस्थापनास मदत करते. ते कोलेस्टेरॉल कमी करण्यास आणि रक्तदाब नियंत्रित करण्यास मदत करून हृदयाच्या आरोग्यास देखील प्रोत्साहन देते, तर त्याच्या बिया बद्धकोष्ठतेपासून मुक्त होण्यास मदत करतात. परवळ सामान्यतः कोरड्या भाजी, कढीपत्ता, कलोनजी-शैलीच्या पाककृती आणि अगदी गोड पदार्थ तयार करण्यासाठी वापरली जाते.



परवळ लागवडीसाठी मध्य जुलै ते ऑक्टोबर हा उत्तम कालावधी मैदानी भागासाठी आहे तर डायरा भागासाठी – सप्टेंबर–ऑक्टोबर सर्वोत्तम कालावधी आहे. व्यावसायिक लागवडीत वेलांच्या काड्या किंवा रूट सकर्सची लागवड ऑक्टोबर–नोव्हेंबर मध्ये केल्यास चांगली स्थापना होते. अनेक भागात फेब्रुवारी–एप्रिल व उन्हाळी पावसावर आधारित जून–जुलै मध्येही लागवड केली जाते.
परवळचे पीक उष्ण आणि दमट हवामानात (25-35°C तापमान) सर्वात चांगले येते आणि या पिकाला प्रदीर्घ उन्हाळ्याची गरज असते. या पिकासाठी 6 ते 7.5 सामू (pH) असलेली, पाण्याचा उत्तम निचरा होणारी सुपीक रेताड-लोम (मिश्र) जमीन योग्य असते. अति थंडी (दव), जमिनीत पाणी साचून राहणे आणि भारी चिकणमाती असलेली जमीन या पिकासाठी टाळावी.जमिनीत कंपोस्ट किंवा शेणखत मिसळल्यामुळे जमिनीचा पोत सुधारतो आणि रोपांची वाढ जोमाने होते.
जमीन तयार करण्यासाठी २ ते ३ वेळा खोल नांगरणी करावी आणि त्यानंतर कुळवाच्या पाळ्या देऊन माती भुसभुशीत व मऊ करावी. शेतातील तण काढून टाकावे, जमीन सपाट करावी आणि पाण्याचा निचरा नीट होईल याची खात्री करावी. पाण्याच्या उपलब्धतेनुसार शेतात सऱ्या किंवा गादीवाफे तयार करावेत.

भारतीय भाजीपाला संशोधन संस्था (ICAR–IIVR) ने विकसित केलेल्या परवळच्या जातींमध्ये 'काशी पुरवल 141, काशी अलंकार, काशी सुफल आणि काशी अमूल्य यांचा समावेश असून त्या उत्तर प्रदेशसाठी शिफारस केलेल्या आहेत. काशी पुरवल 141 - या जातीची फळे आकर्षक फिकट हिरवी आणि टोकाकडे थोडी निमुळती असतात (लांबी 8-9 सेंमी, जाडी 2.5-3 सेंमी). लागवडीनंतर 85-90 दिवसांत काढणी सुरू होते, उत्पन्न हेक्टरी 225-250 क्विंटल मिळते आणि ही जात उत्तर प्रदेशसाठी योग्य आहे. काशी अलंकार - याची फळे हिरवी, दोन्ही बाजूंनी निमुळती आणि टोकावर रेषा असलेली असतात; प्रत्येक वेलीला साधारण 120-130 फळे लागतात. फळाची लांबी 6.7 सेंमी आणि वजन 25-27 ग्रॅम असते. हेक्टरी 180-200 क्विंटल उत्पादन मिळते आणि ही जात उत्तर प्रदेशसाठी शिफारस केलेली आहे. काशी सुफल - याची फळे आकर्षक फिकट हिरव्या रंगाची असून त्यावर पुसट रेषा असतात. फळे मांसल व बिया मऊ असतात. वेलीवर फळे जास्त काळ टिकून राहतात, 180-200 क्विंटल उत्पादन मिळते आणि फळांची साठवणूक क्षमता चांगली असल्याने ती उत्तर प्रदेशसाठी शिफारस केलेली आहे. काशी अमूल्य - या जातीमध्ये बियांचे प्रमाण खूप कमी असते (साध्या जातींमध्ये 25-30 बिया असतात, तर यात फक्त 5-8 बिया असतात). ही जात अधिक मांसल असून फळे फिकट हिरवी आणि विरळ पांढऱ्या रेषा असलेली असतात. हेक्टरी 200-220 क्विंटल उत्पादन मिळते, साठवणूक क्षमता चांगली आहे आणि ही जात उत्तर प्रदेशसाठी शिफारस केलेली आहे.



परवळच्या लागवडीसाठी लुंडा किंवा लाच्छी, सरळ वेल आणि रिंग पद्धत अशा तीन पद्धतींचा वापर केला जातो. लुंडा / लाच्छी पद्धत: वेलाचे लांब तुकडे (1-1.5 मीटर लांब आणि 8-10 पेरे असलेले) इंग्रजी आठ आकड्यासारखे दुमडले जातात, ज्याला 'लुंडा' किंवा 'लाच्छी' म्हणतात.हा गुंडाळलेला वेल खड्ड्यात व्यवस्थित ठेवला जातो आणि त्याचा मध्यभाग 3-5 सेंमी खोल मातीत दाबला जातो. कोरड्या हवामानात कोंब लवकर येण्यासाठी मध्यभागावर थोडे ताजे शेण लावले जाऊ शकते. सरळ वेल पद्धत: 2 मीटर अंतरावर 30 सेंमी खोल सऱ्या तयार कराव्यात, त्या माती आणि शेणखताने भरून घ्याव्यात आणि वेलाचे तुकडे 15 सेंमी खोल जमिनीत गाडावेत. दोन रोपांमध्ये साधारण 2 मीटर अंतर ठेवावे. रिंग पद्धत: वेलाचा तुकडा गोल रिंगसारखा वळवला जातो आणि तो वरंब्यावर किंवा मातीच्या ढिगाऱ्यावर लावला जातो. मुळे मजबूत फुटण्यासाठी रिंगचा अर्धा ते दोन-तृतीयांश भाग मातीत गाडला जातो. खड्डा पद्धत परवळच्या खड्डा पद्धतीमध्ये वेलाचे तुकडे किंवा मुळे 30-45 सेंमी खोल आणि खतांनी भरलेल्या खड्ड्यात लावली जातात, जेणेकरून मुळांची वाढ जोमाने होऊन अधिक उत्पादन मिळते.



परवळची व्यावसायिक शेती बियांपासून केली जात नाही, कारण बियांपासून तयार झालेली रोपे कमकुवत असतात आणि त्यांच्या फळांची गुणवत्ता सारखी नसते. त्याऐवजी, याची लागवड शाकीय पद्धतीने (वेलांपासून) केली जाते, ज्यासाठी प्रति एकर सुमारे 1500-2000 रूट सकर्स (मुळांचे कोंब) किंवा 2000-2500 वेलाचे तुकडे लागतात.
परवळच्या उत्तम उत्पादनासाठी दोन ओळींमध्ये 1.5-2.0 मीटर आणि दोन रोपांमध्ये 1-1.5 मीटर अंतर ठेवावे, तसेच योग्य परागीकरणासाठी ९ मादी वेलांमागे १ नर वेल असे प्रमाण राखावे. जमिनीवर (सपाट वाफे) लागवड करताना 2 मी x 1 मी अंतर राखले जाते, तर मांडव किंवा ताटी (1.5 x 1 मी) पद्धतीमध्ये वेलाची जोमदार वाढ होण्यासाठी अनेकदा जास्त अंतर ठेवले जाते.
परवळ हा एक द्विलिंगी (ज्यामध्ये नर आणि मादी फुले वेगवेगळ्या वेलावर येतात) बहुवार्षिक वेल आहे, त्यामुळे परागीकरण चांगले होण्यासाठी आणि अधिक उत्पादनासाठी शेतात 9:1 या प्रमाणात मादी आणि नर वेलांची संख्या राखणे अत्यंत आवश्यक आहे. परवळची व्यावसायिक शेती ही बियांपासून न करता शाकीय पद्धतीने (म्हणजेच वेलाच्या छाट कलमांपासून) केली जाते. मुख्य अभिवृद्धी पद्धती वेलाचे तुकडे (सर्वात सामान्य पद्धत): निरोगी वेलाचे 8-10 पेरे असलेले तुकडे (60-90 सेंमी लांब) वापरावेत. हे तुकडे 15सेंमी खोल, साधारणपणे गुंडाळी किंवा रिंग आकारात लावावेत आणि जमिनीच्या वर 1-2 पेरे उघडे ठेवावेत. लागवड करताना 90% मादी आणि 10% नर वेलांचे प्रमाण राखावे. रूट सकर्स (मुळांपासून येणारे कोंब): 2-3 वर्षे जुन्या निरोगी मादी रोपांपासून मुळे असलेले कोंब वेगळे करून लावावेत; या पद्धतीमुळे रोप लवकर रुजते आणि यशस्वी होण्याचे प्रमाण जास्त असते. अभिवृद्धी (लागवड) करण्यासाठी सप्टेंबर ते नोव्हेंबर (हिवाळ्याची सुरुवात) हा काळ सर्वात उत्तम असतो.

परवळचे परागीकरण प्रामुख्याने किडींद्वारे होते. 9 मादी वेलांमागे 1 नर वेल असल्यास परागीकरण पुरेशा प्रमाणात होण्यास मदत होते. परवळमध्ये जास्तीत जास्त फळधारणा होण्यासाठी 9:1 (नऊ मादी आणि एक नर) हे गुणोत्तर आदर्श मानले जाते. संशोधनानुसार, शेतात 10% पर्यंत नर वेलांची संख्या राखल्यास परागीकरणाची कार्यक्षमता वाढते आणि एकूण उत्पादनात मोठी सुधारणा दिसून येते.

जमिनीचा कस वाढवण्यासाठी चांगले कुजलेले शेणखत किंवा कंपोस्ट खत (10-15 टन/एकर) मातीत नीट मिसळावे. लागवडीच्या वेळी, नायट्रोजनचा अर्धा डोस आणि फॉस्फोरस व पोटॅश यांचा पूर्ण डोस द्यावा. लागवडीच्या वेळी 43-53 किलो युरिया, 48-58 किलो डीएपी आणि 32-39 किलो म्युरेट ऑफ पोटॅश द्यावे. या खतांच्या मात्रेतून प्रति एकर 20-24 किलो नायट्रोजन, 8.7-10.5 किलो फॉस्फोरस आणि 16.6-20 किलो पोटॅश मिळते. नायट्रोजनचा उरलेला अर्धा डोस म्हणजेच 20-24 किलो नायट्रोजन प्रति एकर, फुले लागल्यानंतर किंवा छाटणीनंतर द्यावा. 20-24 किलो नायट्रोजनचा पुरवठा करण्यासाठी प्रति एकर 43-53 किलो युरिया वापरावा.


परवळ पिकासाठी ठिबक सिंचन ही सर्वात उत्तम पद्धत आहे कारण यामुळे पिकाला समप्रमाणात ओलावा मिळतो, पाण्याची बचत होते आणि उत्पादन वाढते; तर सरी आणि वाफे पद्धती हे सोपे पर्याय असले तरी पाणी साचू नये म्हणून निचऱ्याची विशेष काळजी घ्यावी लागते. परवळ पिकाला जमिनीत सतत ओलावा असणे आवश्यक असते, त्यासाठी उन्हाळ्यात दर 8-10 दिवसांनी किंवा ठिबक सिंचन असल्यास दर 2 दिवसांनी पाणी द्यावे. मल्चिंगसोबत 80% पॅन बाष्पीभवन (PE) दराने ठिबक सिंचन करणे सर्वात कार्यक्षम ठरते; यामुळे पारंपारिक सिंचन पद्धतीच्या तुलनेत 20% पाण्याची बचत होते, उत्पादनात वाढ होते आणि फळसड होण्याचे प्रमाणही कमी होते.

परवळ पिकाच्या सुरुवातीच्या काळात तण नियंत्रण करणे अत्यंत आवश्यक असते; पहिली खुरपणी लागवडीनंतर 20-25 दिवसांनी करावी आणि त्यानंतर दर 25-30 दिवसांनी तण काढावे. हाताने खुरपणी, हलकी कोळपणी आणि आच्छादनाचा (गवत किंवा प्लास्टिक मल्चिंग) वापर केल्यामुळे तण प्रभावीपणे दाबले जाते, जमिनीतील ओलावा टिकून राहतो, मजुरीचा खर्च वाचतो आणि फळसड होण्यापासून बचाव होतो. ठिबक सिंचन आणि खत व्यवस्थापनासोबत प्लास्टिक मल्चिंगचा वापर केल्यास पाण्याचा वापर अधिक कार्यक्षमतेने होतो आणि खतांच्या वापरात सुमारे 20% बचत होते.

परवळमध्ये 'ट्रेनिंग' (वळण देणे) म्हणजे वेलींना आधारावर चढवणे, ज्यामुळे त्यांना पुरेसा सूर्यप्रकाश आणि हवा मिळते, फुलधारणा चांगली होते आणि फळांची गुणवत्ता सुधारते. परवळ हा वेलवर्गीय पीक असल्यामुळे, त्याला जमिनीवर (सपाट वाफे), ताटी (ट्रेलिज) किंवा मांडव (बोवर) पद्धतीवर योग्य वळण देणे आवश्यक आहे; यामध्ये ताटी आणि मांडव पद्धतीतून सर्वाधिक उत्पादन मिळते. 1. ताटी पद्धत (सामान्य पद्धत) लाकडी किंवा बांबूचे खांब 1.5-2 मीटर अंतरावर उभे करावेत आणि त्यांना आडव्या दोऱ्या किंवा तारांनी जोडावे. वेलींना नैसर्गिकरित्या त्यावर चढू द्यावे, गरज भासल्यास अलगद बांधावे आणि हवा खेळती राहण्यासाठी खालच्या बाजूचे एकमेकांत गुंतलेले वेल काढून टाकावेत. 2. मांडव पद्धत (व्यावसायिक शेतीसाठी सर्वोत्तम) 1.5-1.8 मीटर उंचीचे मजबूत बांबू, लोखंडी किंवा लाकडी खांब रोवून त्यांना मजबूत तारांनी जोडून मांडव तयार करावा. वरच्या बाजूला जाळी पसरवावी, वेलींना दोरीच्या साहाय्याने सैलसर बांधून वर चढवावे आणि मांडवावर त्यांना नैसर्गिकरित्या पसरू द्यावे.




परवळमधील छाटणी म्हणजे जुन्या, रोगट किंवा अति दाटी झालेल्या वेली काढून टाकणे आणि जमिनीला स्पर्श करणाऱ्या खालच्या फुटव्यांची छाटणी करणे होय. तसेच, 9:1 हे योग्य प्रमाण राखण्यासाठी जास्तीचे नर वेल कमी करणे; ज्यामुळे हवा खेळती राहते, सूर्यप्रकाश नीट मिळतो, फुलधारणा सुधारते आणि एकूण उत्पादनात वाढ होते. हिवाळा सुरू होण्यापूर्वी (ऑक्टोबर-नोव्हेंबरमध्ये), वेलाची जमिनीपासून 15 सेंमी अंतर सोडून छाटणी करावी.

परवळची काढणी लागवडीनंतर 60-75 दिवसांनी केली जाते, जेव्हा फळे कोवळी आणि मऊ असतात. फळांचा दर्जा टिकवण्यासाठी आणि सतत उत्पादन मिळवण्यासाठी दर 3-4 दिवसांनी तोडणी करावी, ही प्रक्रिया पुढे 6-8 महिने चालते. काढणी केलेली फळे थंड आणि सावलीच्या ठिकाणी 4-5 दिवसांपर्यंत साठवून ठेवता येतात.



रोगाची लक्षणे: पानाच्या वरच्या बाजूला पिवळे किंवा फिकट हिरवे ठिपके दिसतात आणि खालच्या बाजूला राखाडी किंवा जांभळ्या रंगाची बुरशी वाढते; ज्यामुळे पाने आकसतात, सुकतात आणि दमट हवामानात वेगाने गळून पडतात. व्यवस्थापन: भाजीपाला पिकातील केवडा रोगाच्या चांगल्या नियंत्रणासाठी 600 मिली 'इन्फिनिटो' 200 लिटर पाण्यात मिसळून प्रति एकर फवारावे.


रोगाची लक्षणे: परवळमधील फळसडीमुळे फळांवर मऊ, पाण्यासारखे तपकिरी डाग पडतात आणि फळे लवकर सडतात; पावसाळ्यात अनेकदा फळांसोबत वेलही सडतो. व्यवस्थापन: फळसड नियंत्रणासाठी 3 ग्रॅम 'ॲलिएट' प्रति लिटर पाण्यात मिसळून रोपवाटिका आणि मुख्य शेतात जमिनीची आळवणी करावी.


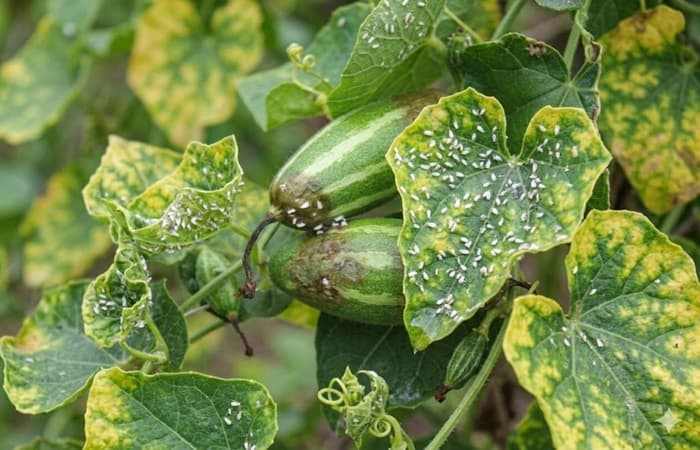
किड लक्षणे: पांढऱ्या माशीमुळे पाने पिवळी पडून आकसतात, रस शोषणामुळे पाने कोमेजतात आणि ही किड चिकट पदार्थ सोडते ज्यामुळे पानांवर काळी बुरशी वाढते. पांढऱ्या माशीचा प्रादुर्भाव प्रामुख्याने मे-जूनमध्ये जास्त होतो. व्यवस्थापन: भाजीपाल्यातील पांढऱ्या माशीसारख्या रसशोषक किडींच्या नियंत्रणासाठी 200 मिली 'सोलोमन' 200 लिटर पाण्यात मिसळून प्रति एकर फवारावे.


किड लक्षणे: प्रौढ भुंगे पानांना मोठे गोल छिद्रे पाडतात, तर त्यांच्या अळ्या मुळे आणि जमिनीखालील देठ खातात; यामुळे वेल वाळतो, सडतो आणि झाडाची वाढ खुंटते. व्यवस्थापन: लाल भुंग्याच्या नियंत्रणासाठी 30 ग्रॅम 'जंप' आणि त्यानंतर 225 मिली 'अलांटो' 200 लिटर पाण्यात मिसळून प्रति एकर फवारावे.


किड लक्षणे: प्रादुर्भाव झालेली झाडे बुटकी राहतात आणि पिवळी पडतात, दुपारी कडक उन्हात वेल कोमेजतो; मुळांवर गाठी तयार होतात, ज्यामुळे झाडाला पाणी आणि अन्नद्रव्ये शोषण्यात अडथळा येतो. व्यवस्थापन: व्यवस्थापन करण्यासाठी फेरपालट म्हणून ही किड न येणारी पिके घ्यावीत, जमिनीचे आरोग्य आणि स्वच्छता राखावी, जमीन तापवणे किंवा सेंद्रिय खतांचा वापर करावा आणि शिफारस केलेली निमॅटिसाईड (सूत्रकृमीनाशके) वापरावीत.


हा लेख वाचल्याबद्दल धन्यवाद, आम्हाला आशा आहे की आपण लेख आवडण्यासाठी चिन्हावर क्लिक केले असेल 🖒 आणि आता ते आपल्या मित्रांसह आणि कुटूंबासह सामायिक करा!